ななしさん
早朝から田の浦へ、アジやイワシ、飲ませでヒラメ、ちょい投げでキス、胴突きでカワハギなど、いろんな魚を狙い釣行。今年は飲ませが不発に終わることが多いので、色んな仕掛けを持って行きます。雨予報で、台風が接近していることもあり、釣り人は少なめ。しかし、波も風もなく、釣りやすいコンディション。曇ってはいましたが、雨は降っていませんでした。
いつもと違うポイントに到着し、早速サビキ仕掛けを投入。最初はサバばかりでしたが、暫く撒き餌をするにつれ、イワシやアジが釣れ始めました。今回はウルメイワシが最も多く、その次にマイワシが釣れてくる感じで、カタクチイワシはいませんでした。マイワシは飲ませ釣りに丁度良い大きさでした。この日はサバが多かったです。豆アジは相対的に成長していました。
すぐさま釣れたマイワシを餌に、飲ませ釣り。捨て石と砂泥地の境目当たりに沈めるイメージで投げ込みます。暫く待って、餌の魚信がなくなったので引き上げてみると、重みが伝わります。ヒットしますが、いまいち軽い。ガシラでした。
サビキであらかた釣ったので、今度は胴突きでカワハギ狙い。キスを狙った釣りで釣れているとの情報を得たので、専門の仕掛けで狙ってみることに。しかし、それっぽい当たりはなく、時々ベラが釣れてくる程度。釣れる気配が無いのでちょい投げに変更。
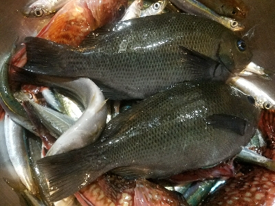
ちょい投げをするも、キスの当たりはありません。ちょっと重いなと思って巻き上げると、ハゼが釣れてくる程度。もう一度カワハギ釣りをしてみようと、キス仕掛けを足元に落としておくと、グググと引き込む当たりが!慎重に上げてくると、18.5センチのグレでした。さらにもう一度落としていると、もう一匹釣れてきました。
カワハギ釣りを再開するも、やはり当たりが無いので、オモリをサビキかごに変更し、アミエビを撒き餌にし寄せて釣る作戦。当たりは増えましたが、ベラばかり。それにオセンも混じり、釣れる気配無し。サビキ釣りでは、明るくなったこともあってか、オセンの猛攻に遭い、アジらが食べに来れない状況。釣り人が少ないため、周りのオセンが皆集まってきてしまったようです。そんななかでしたが、ガシラやコッパグレ、豆アジやイワシなどが釣れたので、10時半頃終了しました。
若干水潮が入っており、ややうねりがあり、仕掛けが煽られる展開でしたが、活性は高かったです。






















