磯部釣船 直栄丸
2日の釣果
午前便
大島さんらのイシダイ狙いです!
伊良湖沖をやったのですが、前回と同様でエサ取りも全く無しでしたので見切りをつけて大山沖へ。
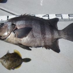
そこで、1GETと1バラシ。
上がったのは60センチの立派なイシダイでした。
顔が見えたので、今日の選択肢は間違えじゃなかったと思いますが、厳しい釣りではありました。
お疲れ様でした。
ありがとうございました。
片名前の夜マタカ
内田さんらの釣行です。
今日は、まだ明るいうちにマタカの顔が見え、さい先の良いスタートでしたが、日が落ち電気を灯す様になると、どんどんアタリが遠くなって行ってしまいました。
時折、小ダイや底物が愛想してくれたのでそれを釣りながらマタカのアタリを待ちましたが・・
全体釣果
セイゴ、マタカ 35~61センチ 4匹、 小ダイ 5匹、 メバル 4匹、 カサゴ 10匹 でした。
そして、クルマエビが泳いで来たので
2匹捕獲!
全体にみると、昨日よりはアタリが多かった分、良かったです。
お疲れ様でした。
ありがとうございました。
P.S. 今日、3日(日) 夜マタカ乗り合い出船致しますので、ご要望ございましたらお問い合わせ下さい!


















