石川丸
第五・大山沖、大型抱卵イサキ&マアジ絶好調でした…!!
2018年 05月 23日 水
大山沖直行便です・予想より天気は良かったですネ
ラスト時間までコースの名の通りイサキとマアジをじっくり狙う
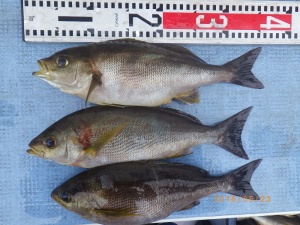
イサキは大型抱卵イサキ揃いで凄いですょ〜イサキはこの先の目玉魚です
サイズ感抜群のイサキがコンスタントにヒットしました
今後も常にメインに狙っていきます
後半に短時間でしたが極美味のマアジを狙いました
マアジは終始アタリがありバッチリキープできました
大型抱卵イサキとマアジの2本立てで好釣果あり…
⭕️明日は定休日(第4木曜日)5・25(金)各3コース出船します
第五・大山沖アジ、イサキコース
第八・ウタセ五目コース
第六・大山沖アジ、サバコース
大山沖、大型抱卵イサキ快進撃 でかいイサキは絶品です 抱卵イサキで満タン!大漁モード 大山沖・イサキとマアジで大箱満タン イサキとマアジ極釣!2本立てです 皆さんイサキ、マアジで盛る 大サバ、大アジキープ ジャンボイサキが凄いですネ 石川丸、イサキ釣り始まる サイズ感がたまりません 美味しいマアジも好調に釣れました 極美味マアジ乱舞!! マアジもバッチリ釣ったぜ マアジのみ他イサキ舞う 大型抱卵イサキ揃いでした 脂ののり最高級!マアジ戦 ⭕️明日は定休日・5・25(金)大山沖アジ、イサキコース出船














































