千代丸
2018年05月13日
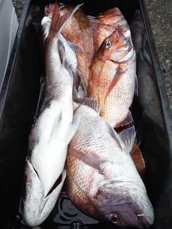
マダイ船 乗っこみ!
第二千代丸 1日便マダイ出船マダイ 0.6〜4.0キロ 船中60枚
明日14日(月)は、天候回復予報ですが、良くなるのがお昼過ぎになりそうで、お昼過ぎからでは時間も短いため中止としました。
明後日15日(火)からの出船となります。今週のマダイ船は、18日(金)に空きございます。お問い合わせお待ちしております。
マダイの乗っこみ始まりました!
5月からの集合・出船時間 マダイ船 集合4時00分・出船4時30分です。 夜ヒラメ船 集合17時00分・出船17時30分です。
乗っこみマダイは、 ハリス5号12m使用
平成30年2月1日からはライフジャケットの着用が義務化となりました。 桜マークのないライフジャケットは、船上では使用できません。 ライフジャケットお持ちでない方は、船にあるものを着用して頂きます。 シマノ探見丸・・・使用できます
■現在の釣りもの■ ・1日便(8時間) ・午前便(6時間) ・夜便(5時間30分) マダイ(コマセ釣り)・・・乗っこみ開幕! ヒラメ(夜釣り)・・・乗っこみ中!
■出船予定■ ご予約受付中! お気軽にお電話下さい(20時まで受付) 出船は、3名さま集まり次第となります。
《2018 平成30年》 5/14(月) 風予報悪く出船中止
5/15(火) 1日便マダイ(満) 5/15(火) 夜便ヒラメ(空きあり) 5/16(水) 1日便マダイ(満) 5/16(水) 夜便ヒラメ(満) 5/17(木) 1日便マダイ(満) 5/18(金) 1日便マダイ(空きあり) 5/19(土) 1日便マダイ(満) 5/19(土) 夜便ヒラメ(空きあり) 5/20(日) 1日便マダイ(満) 5/21(月) 1日便マダイ(空きあり)
5/22(火) 1日便マダイ(受付中) 5/23(水) 1日便マダイ(受付中) 5/24(木) 1日便マダイ(受付中) 5/25(金) 1日便マダイ(受付中) 5/26(土) 1日便マダイ(満) 5/27(日) 1日便マダイ(空きあり) 5/28(月) 1日便マダイ(受付中)
5/29(火) 1日便マダイ(受付中) 5/30(水) 1日便マダイ(受付中) 5/31(木) 1日便マダイ(受付中) 6/1(金) 1日便マダイ(受付中) 6/2(土) 1日便マダイ(受付中) 6/3(日) 1日便マダイ(受付中) 6/4(月) 受付中
6/5(火) 受付中 6/6(水) 受付中 6/7(木) 受付中 6/8(金) 受付中 6/9(土) 受付中 6/10(日) 受付中 6/11(月) 受付中
6/12(火) 受付中 6/13(水) 受付中 6/14(木) 受付中 6/15(金) 受付中 6/16(土) 受付中 6/17(日) 受付中 6/18(月) 受付中
6/19(火) 受付中 6/20(水) 受付中 6/21(木) 受付中 6/22(金) 受付中 6/23(土) 受付中 6/24(日) 1日便貸切 6/25(月) 受付中
6/26(火) 受付中 6/27(水) 受付中 6/28(木) 受付中 6/29(金) 受付中 6/30(土) 受付中 7/1(日) 受付中 ※ホームページ上の予定表は夜に更新しますので、ブログ上と異なる時があります。
■ご予約・お問い合わせ電話番号■ ※お電話は、7時〜20時までにお願いします。 ※ご予約をキャンセルされる場合は、前日までにご連絡下さい。 ※当日キャンセルは、キャンセル料を頂くことになります。ご了承願います。 ■ 千代丸店舗 0257-23-3552 ※店舗が閉店している時間は、第二千代丸船頭携帯へ転送電話となりますので、そのままお待ち下さい。 ※なお、転送時、電波の悪い沖合いにいて、つながらない場合がございます。夕方には帰港しておりますので、宜しくお願い致します。 ■ 第二千代丸 船頭 090-3148-0291 ※こちらの番号に掛けて頂いても構いません
■ご案内■ 当船は釣り具店も併営しております。受付時エサ・仕掛け・氷等をご購入下さい。 乗船料金(エサ・氷代は別途)…午前の半日便(6h)9,000円、1日便(8h)11,000円・1日便(7h)10,000円、夜便(5.5h)9,000円 レンタルタックル完備しております。初めての方、ご利用下さい。 クーラーボックスもお貸ししますので、何もなくても大丈夫です! 釣行後、魚をご親戚、ご友人等への発送承ります。白い発泡箱は無料でご利用できます。(発送料・氷代はお願いします) ポイントカード・・・1日便ご乗船毎にスタンプカードに1ポイント押印します。15ポイントで1回ご乗船サービスとなります。 沖メバル釣り・深海マダラ釣り、チャレンジしてみたい方、深海用のレンタルタックルも5本まで用意しております。 マダイ釣り、電動タックル8本まで用意しております。 ひとつテンヤ、レンタルタックル8本まで用意しております。
■レンタルタックルのご案内■ ご予約時にお申し付け下さい。 近海用手巻きリールセット・・・1,000円 近海用電動リールセット(数量限定)・・・3,000円 深海用電動リールセット(数量限定)・・・3,000円 マダイ釣り用ビシ・天秤・クッションゴムセット・・・500円 ジギング用スピニングリールセット・・・2,000円(ジグ各自) 鯛ラバ用ベイトリールセット・・・2,500円(鯛ラバ各自) ひとつテンヤ用スピニングリールセット・・・2,500円(テンヤ各自) おかっぱり用タックル・・・500〜1,000円 クーラーボックス・・・無料(帰港後、ご乗船のお客さまには白い発砲スチロール箱を差し上げます。氷代だけお願いします)
■初めてご来船されるお客さまへ■ 当船は船にロッドホルダーを設置しておりますので、持ち込み不用です。 バッテリーは船にありますが、お持ちの方は持参して下さい。 コマセ、付け餌、仕掛け、氷など受付所(釣具店)にございます。 船上でのスパイクブーツの使用は禁止です。 釣具店舗の場所がわからない方は、ナビに新潟県柏崎市番神1丁目2-44とセットして下さい。 ナビがなくても釣具店舗は、柏崎港の真ん前にございます。海岸線を来ていただければわかります。
■各釣りもの基本仕掛け■ 《マダイ釣り》 ロッド・・・2.5〜3.5mのマダイ用ムーチングロッド(オモリ負荷30〜50号) リール・・・小型電動リールが楽です。棚は比較的浅いので手巻きでもOK!道糸はPE4号200m以上 天秤・・・マダイ専用のもの ビシ・・・80号のコマセビシ。ステンカン・サニービシ・シャベルカゴなどお好きなもので クッションゴム・・・1.2〜2.0mmで1m 仕掛け・・・フロロカーボンハリス4号12m 針・・・マダイ用ハリの9号・10号 《夜ヒラメ釣り》 ロッド・・・ヒラメ竿がなければマダイ竿でOK リール・・・小型電動リールでも手巻きでもどちらでもOKです。マダイ用のものでOK 仕掛け・・・泳がせ仕掛け オモリ・・・80号 エサ・・・活きアジ(当船で用意します) 《沖メバル釣り》 ロッド・・・3.0〜4.5mの沖メバル専用ロッド(オモリ負荷150〜250号) リール・・・中〜大型電動リールが必要です。道糸はPE5号300m以上 オモリ・・・200号 コマセカゴ・・・ほとんで使用しませんが、オキアミコマセを使用する場合がございます。LARKカゴ・サニーカゴの中〜大サイズ 仕掛け・・・胴突仕掛け5〜10本針(市販品あります)・ムツ針13〜15号・ハリス3号・幹糸7〜8号 エサ・・・ホタルイカ(千代丸店舗に鮮度の良いホタルイカをパック販売しております) 《マダラ釣り》 ロッド・・・2.7〜3.5mのマダラ・沖メバルロッド(オモリ負荷200〜300号) リール・・・中〜大型のパワーのあるものを使用して下さい。 リールの道糸・・・PE5〜6号400m以上(太くても6号までです) 電動リールはパワーがあり、PE5号か6号を高切れを考え500mあると安心です。300mでもなんとかなりますが、高切れの心配はあります。船に予備のラインを積んでいますが、実費となります。 オモリ・・・250号 仕掛け・・・胴突仕掛け3〜5本針(市販品・船頭オリジナル品あります)・太地ムツ20〜22号・ハリス10〜12号・幹糸16〜20号 エサ・・・サンマ切り身(千代丸店舗にカット済みパック販売しております。数に限りあり) エサのサンマ・・・半身のままでもいいですし、半身のその半分でもOKです エサのサンマ・・・船頭がカットしたものを店舗で販売しています エサのサンマ・・・1日便で10〜15匹位使用します。(食いにより前後します) 仕掛けを自作される方、枝ハリスの細いものはお勧めできません。最低10号以上です。食いに関係ありません。オリジナル仕掛けは12号で作り販売しています。 《深海五目釣り》 対象魚・・・貴重になったホッケ・マダラ・ハツメ・ソウハチガレイなど ロッド・・・2.7〜3.5mのマダラ・沖メバルロッド(オモリ負荷200〜300号) リール・・・中〜大型のパワーのあるものを使用して下さい。 リールの道糸・・・PE5〜6号400m以上(太くても6号までです) オモリ・・・250号 仕掛け・・・胴突仕掛け7本針(市販品のフラッシャーサビキでやります) エサ・・・ホタルイカ・サンマ切り身・サバ切り身など(千代丸店舗で販売しております。) 《ふかせ仕掛けのメダイ釣り》 ロッド・・・2.7〜3.6mのやや硬めムーチングロッド(オモリ負荷80〜120号) リール・・・パワーのある中〜大型電動リール。道糸はPE4〜5号200m以上 天秤・・・マダイ用より若干太めで長いもの ビシ・・・120号のコマセカゴ。サニービシ・ラークカゴなど クッションゴム・・・2.5mmで1m 仕掛け・・・基本はフロロカーボンハリス8号6m(市販品あります) 針・・・ソイ針15〜17号、ヒラマサ針13〜15号 エサ・・・ホタルイカ、コマセにオキアミ使用します 《胴突仕掛けのメダイ釣り》 ロッド・・・2.7〜4.0mのオモリ200号を使えるロッド リール・・・パワーのある中〜大型電動リール。道糸はPE5〜6号200m以上 コマセカゴ・・・ラークカゴの特大・サニーカゴなど 仕掛け・・・胴突3〜5本針仕掛け(市販品あります) 針・・・ソイ針15〜17号、ヒラマサ針14〜16号 ハリス・・・8号 エサ・・・ホタルイカ、コマセにオキアミ使用します 《アジ五目》 ロッド・・・マダイ竿のような柔らかめのもの。2.7〜3.5m リール・・・小・中型電動リールまたは手巻きリール。道糸PE4号200m サビキ・・・お勧めございます! サビキカゴ・・・アミコマセ用のMサイズ オモリ・・・80号 エサ・・・オキアミ・アミコマセ・根魚狙う場合は豆アジ・カタクチイワシ 《泳がせ》 ロッド・・・マダイ竿・ヒラメ竿の柔らかめのもの。2.7〜3.5m リール・・・小・中型電動リールまたは手巻きリール。道糸PE4号200m 仕掛け・・・泳がせ仕掛け・1本針か2本針 オモリ・・・80号 エサ・・・生き餌(不足した場合は冷凍餌使用) 《ひとつテンヤ》 ロッド・・・ひとつテンヤ専用ロッドで2.3〜2.6mのもので。 リール・・・ドラグ性能が高いスピニングリールでお願いします。細い道糸を使用するので、ドラグ性能が最も重要となります。 リールサイズ・・・D社・S社ともに2500番ぐらいです。 リールの道糸・・・0.6〜0.8号を150〜200m巻いて下さい。1号以上になると潮受けが強くなり、釣りづらくなります。細くても強度に心配はありません。 リーダー・・・フロロカーボン2〜2.5号(PE0.6号の時)・2.5〜3号(0.8号の時)を5mです。 テンヤ・・・3〜13号を使用します。カラーはお好きなものでOKです。 テンヤとリーダーの接続・・・小型スナップを入れます。直結でもOKです。 レンタルタックル多数ございますので、初めての方もお気軽にお越しください。 3名さま集まり次第の出船となります。なるべくお早目のご予約お願いします。 付けエサは、厳選したものを販売しております!ご利用下さい! 船上でのリーダー結びが難しい方は、船頭に言って下さい。 ひとつテンヤ船でのジギング・鯛ラバはNGです。ご了解願います。(貸切時は自由です) posted by Hiro at 14:23| 日記




































