石川丸
第五・初夏サンバソウ爆釣祭り…!!
2018年 05月 06日 日
極旨、初夏のサンバソウ祭り!!当店オススメのウタセ五目釣りです
大きなサンバソウが激釣モード!凄いっす
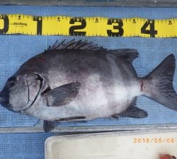
超強烈な引き味の良型サンバソウがコンスタントにヒットしました
価値ある貴重なサイズのサンバソウ揃いです・今後も狙っていきます
伊良湖水道で良型カサゴを狙いバッチリお土産確保してから五目釣りの本番を迎えます
豪華なゲストが釣れるポイントへ…
⭕️明日・第五・ウタセ五目コース出船












































