寿丸
2018年5月5日 釣果情報
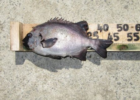
※2018年5月5日釣果情報 福田さん 石鯛60㎝(3,95㎏)を、底物(石鯛)仕掛けで釣られたそうです。 大判銀ワサ60㎝ 、お見事でした。 井上さん 石鯛45,5㎝(1,85㎏)を、底物(石鯛)仕掛けで釣られたそうです。 石鯛45,5㎝、お見事でした。 濵﨑さん クチブトクロ43,5㎝、33㎝を、フカセ釣りで釣られたそうです。その他、クチブトクロ、オナガクロ30㎝~足裏サイズも沢山釣られたそうですが、リリースされたそうです。 クチブトクロ43,5㎝、お見事でした。 その他の磯瀬では、フカセ釣りのお客様は、チヌ40㎝超え、クチブトクロ36㎝~30㎝、オナガクロ35㎝~30㎝、足裏、手の平サイズを、釣られたそうです。尚、足裏、手の平サイズは皆さんリリースされたそうです。 正午、正午過ぎ、最終まで皆さんお疲れ様でした。




















