ななしさん
以前から気になっていた水ヶ浦漁港を夕方から夜中に掛けて調査しました。
ターゲットはメバル(メバリング)、コウイカ(エギング、テーラー仕掛け)、チヌ(チニング)など。
とは言っても、エギング、チニングはワインドロッド使用の本気で釣る気ありますかモードです(笑
結局、チニングはガッシーを1匹釣った後は根がかりしまくりで早々に断念。
エギングも根がかりが多そうな雰囲気に怖気づいて数投で終了。コウイカはテーラー仕掛けの放置プレイに任せましたが、まぁ釣れなかったです。
(そもそも海底はコウイカがいそうな砂地なのか??)
墨跡も全く見られなかったので、釣れなかったのはウデのせいではなくイカが居なかったからでしょう。
釣ったことが無い人が言っても説得力ゼロですが・・・
チニング、エギングをやめた代わりに日が暮れるまではワカメの間を狙った穴釣りをしてチビガッシーたちに遊んでもらいました。
日が暮れて、街灯が効き始めた頃にメバリングに変更し、ワームで表層をゆっくり探っていきました。
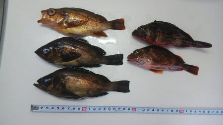
すると一投目からメバルがヒット!18cmのまぁまぁ良型でした。
その後は、連発とはなかなか行きませんでしたが、飽きない程度にメバルとガッシーが当たってくれました。印象としては、真っ暗なところより街灯の光が明暗を作るところのほうが当たるような、教科書どおりと言う感じです。
メバルらしき魚影が海面近くに浮いている様子も見られましたが、見えている魚はワームには全く反応しませんでした。
途中、ワームをプラグに変えてみましたが、数投したところでワカメに気前よくプレゼントしました(泣
干潮近くはワカメに特に注意!と気がついたのは、しばらくして水位が上がってきてからでした・・・(恥
そんなこんなで、狭い場所なりに場所を変えながら探っていき、最終的にメバル3匹、ガシラ2匹をいただいて帰ることにしました。
調査の締めとして、あれこれ荷物を持っていくと帰りの階段で死にそうになるので注意しましょう。
途中で2回ほど休憩したのはここだけの話です(自爆






















