朝日丸
4月 8日(日)小豆島南〜東朝定期便
岡山市の長瀬様 真鯛 38.5〜48.0cm 2匹
岡山市の高木様 マコガレイ 32.5〜33.5cm 2枚
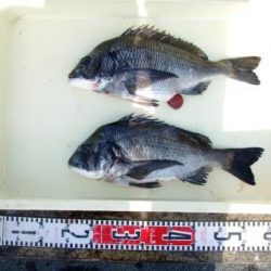
岡山市の長瀬様 チヌ 40.0〜41.0cm 2匹
新岡山港より小豆島・豊島・小豊島・庵治沖・志度沖を中心に渡船を行なっています。予約・お問い合は・・・
24時間予約専用ダイヤル090−3378−7319
朝日フィッシたング・朝日丸 迄ご連絡ください。
























