魚魚っ子
最近メーターオーバーのヒラマサが上がっているのでチャンスと思い出船してきました。
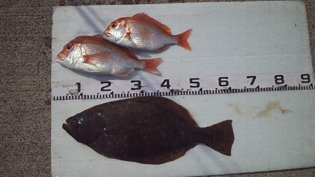
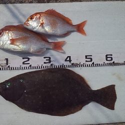
だがしかしシャクってもシャクってもアタリすらなし・・・お土産確保のインチク180gにてレンコダイをゲット
その後もシャクり続けましたがタイムアップで終了 船中青物の姿は見えませんでした。
明日はエサ釣りにて根魚爆釣するぞ~
















