ARCADIAⅡ (アルカディアⅡ)
潮のわりには、
2018-03-23 19:09:08
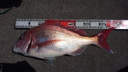
今日は、お二人様、タイラバで出船。
荒れ後一発目、潮も動き始め、
イレパクを期待でしたが、
ポイントに着くと感度薄く、期待ハズレの
単発ヒットでした。
今日は、ポツリ、ポツリと単発で、難しい1日でしたが、
やっと潮が動き始めたので、期待できそですよ
明日も頑張ります。
ありがとうございましたm(__)m
26日、タイラバ、ジギング3人乗り合い募集
27日、乗り合い、仕立て募集
28日、タイラバ、ジギング6人乗り合い募集
29日、タイラバ、ジギング5人乗り合い募集
4月1日、タイラバ、ジギング2人乗り合い募集
4日、タイラバ、ジギング4人乗り合い募集
5日、タイラバ、ジギング6人乗り合い募集
6日、タイラバ、ジギング7人乗り合い募集
8日、タイラバ、ジギング6人乗り合い募集
12日、タイラバ、ジギング2人乗り合い募集
4月平日は空いてますよ。
お電話お待ちしてます。
080-6126-6300 アルカディア2 川端






























