タイラバ遊漁船 ワンピース
3月18日(日)ムラがあるよ~。
2018年03月19日
最新情報 ネクタイヒットカラー ワンピース 松岡チュ-ン 形状 カーリー 巻きスピード スローまたは中低速。
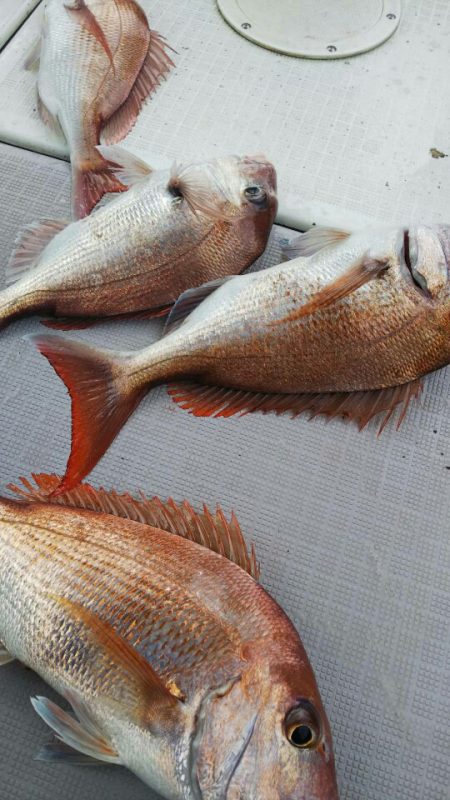
日曜日は、ビッグワンが60cm。
真鯛 7枚
アコウやヒラメ等も釣れました。
ちなみに、土曜日はボウズでした
残業しましたが、お手上げ✋で、
むなしく帰港。
力不足ですみませんでした。
日によって釣果にムラがあります
お魚様は、えらい回遊しているようで
昨日群がっていたポイントに、
今日は一匹もいない、、ということが
たびたびありました。
いろんなポイントに走りに走っていますが、
あまり期待しないでください
ますます自信を無くしています
最近、赤色のネクタイに反応が多くなってきました。
やはり赤色、オレンジカラ-が定番ですね。
明日から、
連続出船なんで今日も船のメンテナンスをして
明日からに備えます❗
皆さんで頑張りましょう✨























