大幸丸
3月14日
7番クジ
金輪
フカセ
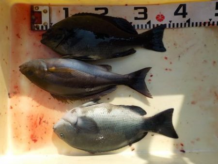
グレ 32〜37cm
2枚
イサギ 26〜33cm
12枚
徳島
田中さん
上り潮
16,4
〜
17,5度
沖富士
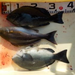
グレ 37〜38cm
2枚
イサギ 35cm
1枚
淡路
弦牧さん
地富士
グレ 33〜34cm
2枚
イサギ 34cm
1枚
匿名さん
兜
グレ 28〜38cm
3枚
イサギ 31cm
1枚
曙潮クラブ
岡田
直也さん
引っ付きの
大バエ
グレ 32〜35cm
24枚
曙潮クラブ
岡田
和彦さん






















