Fisherman Dreams DI
2018年3月2日
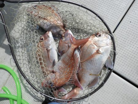
鯛サビキ便! 怒涛のラッシュがあり数が伸びましたね~♪ ラッシュ時は船の至る所に鯛が(笑) 途中経過♪お昼前でこの状態♪ ラッシュ以外にもコンスタントに釣れ続けました! 良型も登場! とりあえず皆様、持てるだけ~♪ 沢山バラシもありましたが、船中推定120枚! 差頭のお客様で23枚でした♪ 船中サビキのご利用・次回のご予約も頂き有難う御座いました! 【鯛サビキ便】
お一人様:10,000円(氷付き※要予約無料)
強力マグネット・電動リール電源・ラーク各座席に完備!
探見丸もご利用頂けます!
※お湯も沸かせますので、ご利用下さいね♪ サビキの持ち込みは自由ですが、船中サビキ(500円)のご利用をおススメ致します♪
ほとんどお客様に船中サビキをご利用頂いております。
扱いやすい短いサビキ等、数多くご用意致しておりますので、詳しくはお問い合わせ下さい。
尚、オモリは30号と40号をお持ち下さい。PEは0.8~2号まででお願い致します!
【3月ご予約状況】
4日(日)満員御礼
5日(月)満員御礼
6日(火)満員御礼
7日(水)満員御礼
8日(木)満員御礼
9日(金)満員御礼
10日(土)満員御礼
11日(日)満員御礼
今年はサビキの当たり年!
平日にも関わらず沢山のお客様にご乗船頂き本当に有難う御座います!
12日(月)~16日(金)まだ若干名空き御座います!
皆様のご乗船心よりお待ち致しております! 【今年のアコウ釣りについて】
予約カレンダーのページに記載致しましたので
宜しくお願い致します。
【兵庫 相生 姫路 小豆島 遊漁船 Fisherman Dreams DI】090-6906-5781(岡田) 共有










































