幸福丸
まるで釣り堀✌️
NEW! 2018-02-27 18:52:00
ポカポカ陽気の中、良く釣れてました。✌️
二桁安打のお客様も、何人かいらっしゃいます。
友人の H氏も、流石フィールドテスターを、努めるだけあって
「10枚 釣ったから止めた」
との事❕
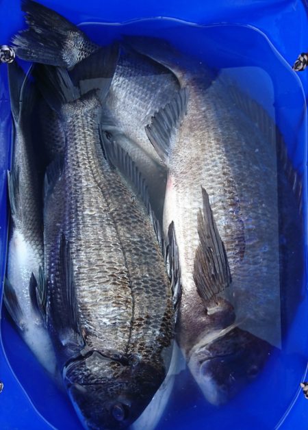
あっち こっちでチヌが釣れてました。
回収時には、海の中を覗くと、
何百と言うチヌが直視できました。
まるで釣り堀みたいです。
一緒に見てたお客様も、
「凄い」とおっしゃってました。
これから、もっと期待出来ますね
皆さんお疲れ様でした。




















