磯部釣船 直栄丸
18日 伊良湖沖の泳がせ釣り (乗り合い)
雪が舞うような冷たい日。
「手がかじかみ感覚が無い」そんな声も・・
しかし、今日はベイトが山盛り出ていて期待大でした。
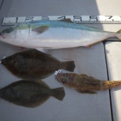
早々にヒラメとマルが上がり「今日は良さそう」「ええ感じ」と思いきや
その後、思うようには口を使ってくれず、更には、凪いだ風が又吹き出し 修行へ突入。
周りのエサ釣りやルアー船も、嘆き節多発。
結局、また「喰わん日」
顔が見えた人はラッキー
そんな感じでした。
「明日こそは・・」 そう思いながらの出船が続きます。
寒風の中、お疲れ様でした。
ありがとうございました。














