第一進丸
01/21 釣果
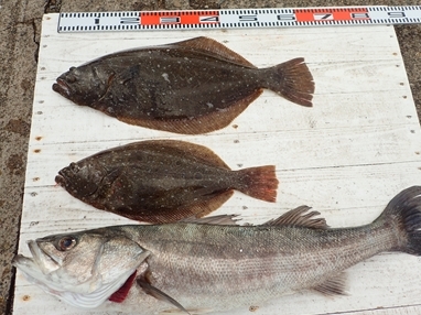
本日もヒラメに出船。
60cm以上が3枚上がる 。
0.4~3.2kg、1~5枚 、
トップ5枚、次4枚が2人、3枚が3人
ほとんどのお客様が2枚以上、
ソゲ多い中でしたが、
良大型が釣り上がりました。
他、スズキ81cmも上がる。
潮色良く、潮温高く、良い状況です。
明日22日(月)夜半から、
明後日23日(火)明け方にかけて
雪模様の予報ですので、
明日22日(月)、明後日23日(火)とお休み致します。
24日(水)は、出船を予定しております ので、
ご予約をお待ち申し上げております。
近々の大板の写真をHPのトップページ に掲示中、ぜひご覧ください
<進丸ニュース>
・ヒラメダービー参加方法をバージョンアップ!! new
・第二回旭市飯岡港初夏のヒラメ釣り大会優勝!! new
・2018年シーズンダービー1位賞品を『選べて』、さらに『パワーアップ』 !!new
・『席取順番札 』を設置いたしました。(夜間、席取りの安全確保のため)
・探していますⅡ!両軸リール・中通し竿・竿掛け!
・お誕生日割引きが更にお得に!!
・クーラーは30 ℓ を中心に35 ℓ まで
・安全、快適に、ミヨシに肘掛け付椅子を設置
・ルアーファンのお客様へ朗報!
・・・ 詳しくはこちらへ
*ライフジャケット乗船時、完全義務化 (2018年2月より)
ライフジャケットを購入して、ご自身の安全の為に、
乗船時には、命を守るアイテムを必ず着用しましょう
























