Fisherman Dreams DI
2018年1月20日
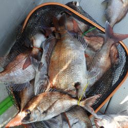
鯛サビキ便! 本日も開始早々、グイグイ♪ そこから連発! 鯛の動きを把握しながら、ポイントを転々と移動! 案の定、バラシが多かったですが、本日は良型揃い! 巻きスピード等がはまったお客様は連発! 50オーバーの2連も上手にいなしながら上げて頂きました♪ 50オーバー2連!お見事!※右後ろのS様の表情にもご注目下さい。(笑) ダントツの竿頭S様!良型を揃えましたね♪45.45.50.50!お一人で15枚! 本日もご乗船頂き有難う御座いました! 船中サビキのご利用・次回のご予約も頂き有難う御座います! 【鯛サビキ便】
お一人様:10,000円(氷付き※要予約無料)
強力マグネット・電動リール電源・ラーク各座席に完備!
探見丸もご利用頂けます! 来週平日まだまだ空き御座います!
ご予約・お問い合わせお待ち致しております!
サビキの持ち込みは自由ですが、船中サビキ(500円)のご利用をおススメ致します♪
9割方のお客様が船中サビキをご利用頂いております。 オモリは30号と40号をお持ち下さい。PEは2号まででお願い致します!
【兵庫 相生 姫路 小豆島鯛サビキ 遊漁船 Fisherman Dreams DI】090-6906-5781(岡田) 共有


































