大幸丸
1月19日
昼〜
9番クジ
オシドリ
フカセ
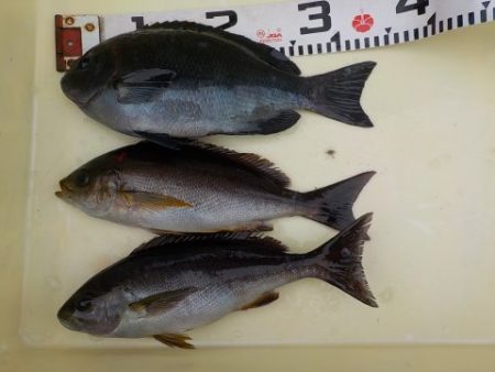
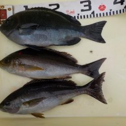
グレ 32〜42cm
2枚
徳島EFC
田中さん
上り潮
表周り
15,4
〜
15,7度
8番クジ
ヒッツキ
グレ 30〜40cm
6枚
徳島
大西さん
グレ 30〜37cm
5枚
イサギ 35cm
1枚
徳島
秋永さん
グレ 34cm
1枚
阿南
猪谷さん
ヤカタ
イサギ 33cm
1枚
チームエコ
太尾さん
イサギ 30〜33cm
5枚
鳴門
大西さん
グレ 34cm
1枚
イサギ 33〜34cm
2枚
チーム8番
加藤さん


























