第一進丸
01/19 釣果
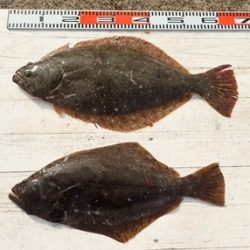
本日もヒラメに出船。
大板上がる。66cm、4.6kg。丸々と太った
肩肉の盛り上った幅広の特肉厚東京ドーム型が上がる。
次62cm、59cm
0.4~4.6kg、1~6枚、オデコ無し
トップ6枚が2人、次5枚が2人、
ヒラメ初めてのお客様も3枚上げられ、
肉厚の良大型が数揃って釣り上がりました。
明日もヒラメに出船。
潮色良く、潮温高く、良い釣況が続いております。
空きがたくさんありますので、
ご都合の付くお客様は
是非お出かけください。
ご予約お待ち申し上げております。
近々の大板の写真をHPのトップページ に掲示中、ぜひご覧ください
<進丸ニュース>
・ヒラメダービー参加方法をバージョンアップ!! new
・第二回旭市飯岡港初夏のヒラメ釣り大会優勝!! new
・2018年シーズンダービー1位賞品を『選べて』、さらに『パワーアップ』 !!new
・『席取順番札 』を設置いたしました。(夜間、席取りの安全確保のため)
・探していますⅡ!両軸リール・中通し竿・竿掛け!
・お誕生日割引きが更にお得に!!
・クーラーは30 ℓ を中心に35 ℓ まで
・安全、快適に、ミヨシに肘掛け付椅子を設置
・ルアーファンのお客様へ朗報!
・・・ 詳しくはこちらへ
*ライフジャケット乗船時、完全義務化 (2018年2月より)
ライフジャケットを購入して、ご自身の安全の為に、
乗船時には、命を守るアイテムを必ず着用しましょう
























