第一進丸
01/16 釣果
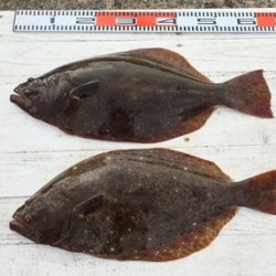
本日もヒラメに出船。
0.5~3.5kg、0~5枚 。
オデコ1人、1枚はお1人のみ。
2kg以上が8枚、ソゲも0.8kg前後がほとんどで
良い模様です 。
他、ホウボウも上がる。
明日も、ヒラメに出船。
潮色良く、潮温高く、
昼前から風が強くなる予報ですが、
ヒラメ釣りに問題は無く、
空きがたくさんありますので、
ご予約をお待ち申し上げております。
近々の大板の写真をHPのトップページ に掲示中、ぜひご覧ください
<進丸ニュース>
・ヒラメダービー参加方法をバージョンアップ!! new
・第二回旭市飯岡港初夏のヒラメ釣り大会優勝!! new
・2017年シーズンダービー1位賞品を『選べて』、さらに『パワーアップ』 !!new
・『席取順番札 』を設置いたしました。(夜間、席取りの安全確保のため)
・探していますⅡ!両軸リール・中通し竿・竿掛け!
・お誕生日割引きが更にお得に!!
・クーラーは30 ℓ を中心に35 ℓ まで
・安全、快適に、ミヨシに肘掛け付椅子を設置
・ルアーファンのお客様へ朗報!
・・・ 詳しくはこちらへ
*ライフジャケット乗船時、完全義務化 (2018年2月より)
ライフジャケットを購入して、ご自身の安全の為に、
乗船時には、命を守るアイテムを必ず着用しましょう
























