釣友丸
2018年1月5日7日
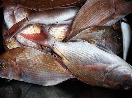
各合7名様(マダイサビキ釣り釣果)
5日は、朝一から入れ食いになり、型も40~55センチの良型が多く、一時は2連3連と釣れ、子供さんも乗っていましたが、レクチャー通り自力で上手に釣れて、全員2ケタ以上で、お土産は十分、いい釣りになりました。(*^-^*)
7日は、朝ポイントに着くとびっくり、早朝にもかかわらず大船団でした。
案の定、マダイは沢山いるのですが、時合が来てもアタリが少なく激渋(Pд`q。)
型は良かったのですが、多い人で8枚で、1人数枚程度でした。
また出来ることなら、平日にリベンジして下さい。
今日はありがとうございました。
また今度のご予約ありがとうございます。
今年も宜しくお願いします。m(_ _)m
船長のコメント
1月に入り、新しい群れも入りだし、水温もそろそろ安定する時期です。
これから3月末まで、日ムラはあると思いますが、今期はマダイが多く、数型共に狙え、面白い釣りになるでしょう。
狙いは、なんといっても船の比較的少ない平日!!
これでしょう☆(ゝω・)v
船も大きくなっていますが、定員はマダイサビキ釣りの場合、去年と同様、7~8人で満席とさせて頂きます。
ご予約、お問い合わせなどは、船長直通080-6319-3756までお気軽にどうぞm(_ _)m






































