泰丸
29日午前便完全フカセ 近藤氏ら
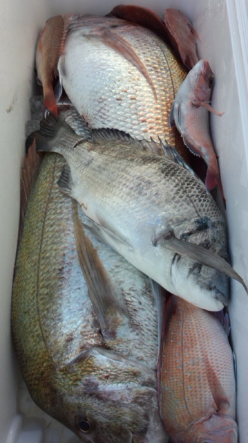
今日の午前便フカセは潮が緩く良い感じに流れてくれてポツポツ当たりがありましたョ~(≧▽≦)!!
特に小中サイズのマダイの当たりが多かったのでボチボチ退屈せずに楽しめました(゚∀゚)!!
年末年始のオカズは塩焼き、刺身、しゃぶしゃぶでマダイのフルコース出来ますね(≧▽≦)!!
1日中厳しい寒さでしたが、良い釣り納になって良かったです…(;´∀`)
マダイ30〜78センチ 6〜9匹 船中29匹
クロダイ46〜48センチ 船中2匹


































