磯部釣船 直栄丸
29日 伊良湖沖の泳がせ釣り
悪天候で2日間休船しました。
やっと天候も回復し「泳がせ釣り」で出船です。
状況は、ベイトが少し減った様な気がしました。
青物も全く居ない訳ではないですが減ったのかも??
最初のポイントはサワラやサメの猛攻撃に合い、仕掛けがブチブチ。
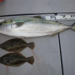
それでも年賀状サイズのヒラメが2匹。
「青物が狙いたい」メンバーさんでしたので、ポイントを船団の中へ移動。
すると直ぐに、ブリGET!
「ジアイ到来か!?」と全員リキ入りましたがその後全くの音信不通。
最後、又シャークにとどめを刺され終了です。
全体的に見ても今日は上がりが悪かった様な感じでした。
潮が緩い影響であるのなら、今度の大潮が勝負!
その潮で喰わなかったら青物も落ちてしまったかも・・
1人1匹づつ青物を・・との願いは叶わず ブリ 85センチ 1匹、 小ビラメ 2匹 と言う厳しい釣果でした。
原田さんらの竿納め釣行となってしまいました。
きっと又、「フィーバーが来る!」 そう信じ明日も出船です。
お疲れ様でした。
ありがとうございました。














