Fisherman Dreams DI
2017年12月18日
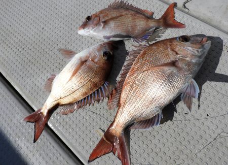
私用までの2時間、一人で鯛サビキの調査へ! 朝、港へ行くと… 写真では分かりにくいですが、凍ってました(笑) 1流し目からグイグイ♪ その後、連発! ダブルヒット♪ トリプルヒット♪ サビキも色々と試し、 サイズはまだまだですが、短時間で10枚ほど釣れました! 「大きくなって帰ってきてね~」っと写真撮影後、全てリリース♪ 鯛サビキ良い感じですね♪ もう少し釣りたかったですが、私用の為、泣く泣く撤収><; 【鯛サビキ】
鯛サビキ お一人様10,000円
お正月用の真鯛を狙ってみませんか♪
無料レンタルタックルもご用意しております! 各座席にラーク・強力 マグネット・電動リール用電源を完備!
探見丸もご利用頂けます! 皆様のご予約・お問い合わせお待ち致しております。 【兵庫 相生 姫路 小豆島 遊漁船 Fisherman Dreams DI】090-6906-5781(岡田)




























