第一進丸
12/17 釣果
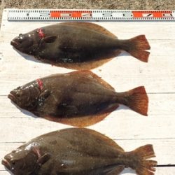
本日は1号船、2号船ともにヒラメに出船。
2船の釣果
大板上がる、70cm、5.2kg 。
丸々と太った肩肉の盛り上がった
幅広の特肉厚東京ドーム型。
2船の中でオデコは3人、
トップ70cm、次64cm、63cm、61cm、61cm、、、 と
特肉厚の大型が揃って釣り上がり、
2kg以上が11枚と良大型がそろい 。
0~6枚、次5枚が2人、4枚が4人、3枚が5人 、と
数、型、共にそろって、肉厚の良大型が釣れ上がりました。
他、マゴチの60cm、ヒラマサ、イナダ、も上がる。
明日もヒラメに出船。
天気模様良く、釣り日和ですので、
ご都合のつくお客様は、ご予約をお待ち申し上げております。
近々の大板の写真をHPのトップページ に掲示中、ぜひご覧ください
<進丸ニュース>
・ヒラメダービー参加方法をバージョンアップ!! new
・第二回旭市飯岡港初夏のヒラメ釣り大会優勝!! new
・2017年シーズンダービー1位賞品を『選べて』、さらに『パワーアップ』 !!new
・『席取順番札 』を設置いたしました。(夜間、席取りの安全確保のため)
・探していますⅡ!両軸リール・中通し竿・竿掛け!
・お誕生日割引きが更にお得に!!
・クーラーは30 ℓ を中心に35 ℓ まで
・安全、快適に、ミヨシに肘掛け付椅子を設置
・ルアーファンのお客様へ朗報!
・・・ 詳しくはこちらへ
*ライフジャケット乗船時、完全義務化 (2018年2月より)
ライフジャケットを購入して、ご自身の安全の為に、
乗船時には、命を守るアイテムを必ず着用しましょう






























