富士丸
12月13日 午前船の真鯛釣果
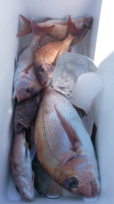
ナイスサイズ 鹿島さん
1・3㎏頭に、8枚
お見事~栫井さん
1・3㎏頭に、9枚
腕あげ中
鯉・・ってみんなが弄っていた
中山さんの、2・9㎏のカンダイ
真鯛は、12枚の竿頭でした
お客様、5人での出船で
5枚、6枚、7枚、8枚、12枚
「放流は含まれてません」
0・4~1・3㎏
はた、メバル、おじさん、カンダイ
アタリが細かく小さいのを
しっかりとアワセていきましょう
テンヤは、3~10号をご用意ください
明日は
な、なんと
現在、お客様が入っていません
ご都合つく方、お待ちしてます❤
明後日の金曜日は
午前船、午後船ともに真鯛 に出ます
空き有りますので
お待ちしてます
そして
土曜日の午前船は
ヒラメに出ます
現在、めちゃめちゃ空いてますので
是非、足を運んでみてください
日曜日は、真鯛で
午前船の真鯛、ガラ空きです
皆さまからの
お電話をお待ちしてます


























