第一進丸
11/27 釣果
本日もヒラメに出船。
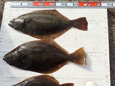
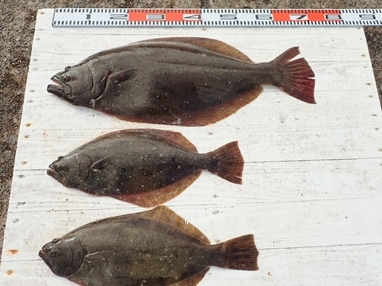
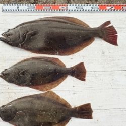
大板2枚上がる。68cm、67cm、4.2kg、4.0kg
いずれも肩肉の盛り上がった、幅広の特肉厚東京ドーム型
0.4~4.2kg。
2~8枚、トップ8枚、次7枚、4枚が2人
2kg以上が5枚と良大型が上がり
ソゲも含めて、肉厚のヒラメが揃って釣り上がりました。
他、イナダ、ワカシ、ヒラマサ、サワラ、大型アイナメと
外道も多彩でした。
明日もヒラメに出船。
潮色は濁りぎみながら、潮の流れ良く、
空きがたくさんありますので、
ご予約お待ち申し上げております。
近々の大板の写真をHPのトップページ に掲示中、ぜひご覧ください
<進丸ニュース>
・ヒラメダービー参加方法をバージョンアップ!! new
・第二回旭市飯岡港初夏のヒラメ釣り大会優勝!! new
・2017年シーズンダービー1位賞品を『選べて』、さらに『パワーアップ』 !!new
・『席取順番札 』を設置いたしました。(夜間、席取りの安全確保のため)
・探していますⅡ!両軸リール・中通し竿・竿掛け!
・お誕生日割引きが更にお得に!!
・クーラーは30 ℓ を中心に35 ℓ まで
・安全、快適に、ミヨシに肘掛け付椅子を設置
・ルアーファンのお客様へ朗報!
・・・ 詳しくはこちらへ
*ライフジャケット乗船時、完全義務化 (2018年2月より)
ライフジャケットを購入して、ご自身の安全の為に、
乗船時には、命を守るアイテムを必ず着用しましょう






















