TOPS JAPAN
真鯛ハチマル頭に鯛漁❗
仕立てで出船❗
ジギングも鯛ラバもしたいとの要望でした❗
鯛ラバ半日、ジギング半日‼
鯛ラバは絶好釣で常に誰かの竿が曲がってる状態‼
6本同時ヒットなんてのも在りました❗
竿頭は6枚❗
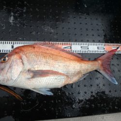
本日のNo.1サイズ❗
途中まで頑張って計ってましたが。。。
ネット行きながら、神経〆して、血抜きしてたら間に合わなくなってきたのでナナマルが何枚居たのか分かりません。。。
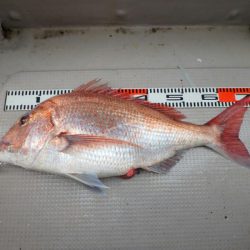
乗船した方12名、全員真鯛捕獲で33枚❗
青物は
この2本でした❗
真鯛と青物の他には
レンコ鯛、ウッカリカサゴ、アコウ、カレイ
でした❗
鯛ラバ初挑戦の方や、真鯛を釣った事が無い方、レンタルタックルの方も4名おられましたが、
皆さんに釣って貰えて良かったです❗
1日有り難うございました






















































































