pug
朝マヅメと夕マヅメ狙いの長い1日釣行。
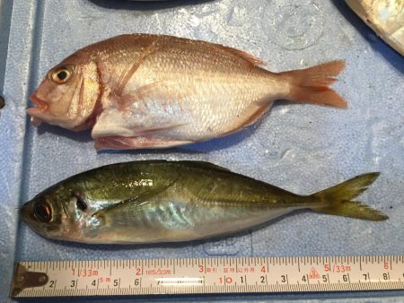
土曜日の為早朝から混み合い、ルアーを投げられる釣り場は確保出来ず。朝から午前中までは足元へのサビキでチャリコが大漁。昼から夕マヅメまでの当たりの無い時間は、大量のチャリコの下処理に充て効率的に時間を過ごす。
日没後から狙い通りアジの回遊に当たり数釣りとしては満足な釣行でした。






















