第一進丸
11/26 釣果
本日も1号船、2号船ともにヒラメに出船。
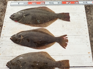
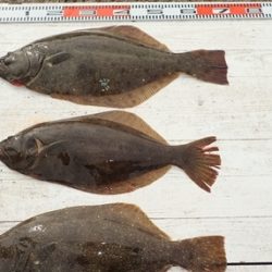
<1号船>
大板絡み上がる、65cm、3.8kg 。
肩肉の盛り上がった幅広の特肉厚東京ドーム型。
次63cm、59cm、55cm、54cm と
良大型が釣り上がりました。
0~8枚、オデコ1人。
トップ8枚、次5枚、4枚が5人。
南よりの風やや強く、船の流れ良く、
海も落ち着き、良大型が揃って釣り上がりました。
他、80cm近くのスズキ、ヒラマサ、イナダ、カサゴ、と
良い型が揃って釣り上がり、お土産に十分でした。
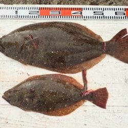
<2号船>
0.4~2.6kg、1~3枚。オデコ無し 。
トップ3枚が2人。
皆さんオデコ無く、良い型混じりでお土産になりました。
明日もヒラメに出船。
潮色もまずまずで、
船の流れも良いと思われますので、
空きがたくさんありますので、
ご予約をお待ち申し上げております。
近々の大板の写真をHPのトップページ に掲示中、ぜひご覧ください
<進丸ニュース>
・ヒラメダービー参加方法をバージョンアップ!! new
・第二回旭市飯岡港初夏のヒラメ釣り大会優勝!! new
・2017年シーズンダービー1位賞品を『選べて』、さらに『パワーアップ』 !!new
・『席取順番札 』を設置いたしました。(夜間、席取りの安全確保のため)
・探していますⅡ!両軸リール・中通し竿・竿掛け!
・お誕生日割引きが更にお得に!!
・クーラーは30 ℓ を中心に35 ℓ まで
・安全、快適に、ミヨシに肘掛け付椅子を設置
・ルアーファンのお客様へ朗報!
・・・ 詳しくはこちらへ
*ライフジャケット乗船時、完全義務化 (2018年2月より)
ライフジャケットを購入して、ご自身の安全の為に、
乗船時には、命を守るアイテムを必ず着用しましょう


























