泰丸
22日午前便完全フカセ 内田氏ら 半夜便ロング 安藤氏ら
今日も午前便~半夜便のダブルで頑張って出船しましたョ~(^◇^)!!
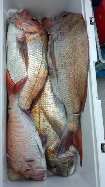
午前便の特大マダイは連日好調キープ(≧▽≦)!!
24日から再び海がシケてくるのでその間にマダイはお腹を空かせて…次回の出船の時にまた爆釣期待ですね(≧▽≦)!!
半夜便は雨の恩恵もあって昨夜より少々マイカの活性が良かった感じがしましたね(*\’▽\’)!!
全体でもメタボマイカ1人平均20はいクリア出来たので申し分なかったです(゚∀゚)!!
タルイカもつがいで泳いでいたり、バラしもあったりしたのでやる気スイッチさえ入ればもっと釣れそうでしたョ(;\’∀\’)!!
午前便
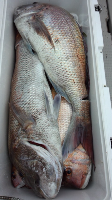
マダイ33〜83センチ 5〜8匹 船中26匹
ワラサ70センチ 船中1匹
スズキ60センチ 船中1匹
半夜便
マイカ20〜35センチ 12〜27はい 船中121はい
タルイカ70センチ 船中1はい






















































