オリジナルメーカー海づり公園(市原市海づり施設)
2017年11月21日(火)
11月21日(火)天気:晴れ、中潮、朝から強風(15m/s)の為、入場を中止していましたが、8時30分より開園致しました。午後になってやや強い北風の吹く肌寒い桟橋となっております。
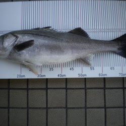
釣果については、フッコ・イナダ・メジナ・アイナメ等が釣れております。尚、今月の大物賞スズキが暫定一位の78.0cmに更新されました。
防寒対策をお忘れなく、皆様のお越しをお待ち致しております。
<釣果15時45分現在>
フッコ 40 – 58 cm 合計 13 匹 セイゴ 25 – 37 cm 合計 13 匹 イナダ 48 – 49 cm 合計 2 匹 イワシ 5 – 10 cm 合計 120 匹 スズキ 60 – 78 cm 合計 2 匹 ハゼ 10 – 19 cm 合計 7 匹 アジ 10 – 12 cm 合計 15 匹 アナゴ 35 cm 合計 1 匹 メジナ 21 – 26 cm 合計 5 匹 アイナメ 25 – 35 cm 合計 2 匹 クロダイ 30 – 49 cm 合計 5 匹 カイズ 25 cm 合計 1 匹 チンチン 17 – 23 cm 合計 4 匹 ボラ 45 – 46 cm 合計 2 匹






























