TOPS JAPAN
タイショウウオを狙い撃ち❗
この時期限定の魚。
大きい個体は1m 10キロを越え、青物と同じく掛けてから最後まで良く引き。。。
何と言っても。。。
食べたら抜群に旨い魚。。。
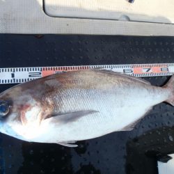
メダイ❗
こちらの海域で特に大きい個体は
タイショウウオ と呼ばれる魚なんですが、
個人的に食べたかったので、お客さん何人かをお誘いして狙いに行ってきました
西舞鶴駅前にある
屋台味 こうちゃん
釣りの後の宴会に良く寄らせて貰うお店ですが。。。
こうちゃんの大将もたまにはどうかなと思って誘ってみたところ、二つ返事で
行きます❗
との事で、こうちゃん大将も拉致って行ってきました
当日はあまり潮もなく、一本でも揚がれば上等かなと思ってましたが。。。
開始間もなく、こうちゃんの大将に大物ヒット❗
PE4号に12号フロロでしたが、残念ながらラインブレイク
デッカイの居ますねぇって事で頑張って貰うも、
30~40cmの良型沖メバル連発❗
コレはコレで良いものの。。。
やはりメダイが釣り鯛❗
引き続きやって貰うと再び強烈なバイト❗
今度はドラグもしっかり調整済みで揚がって来たのは。。。
本命 タイショウウオ
大将がうちの船に乗って竿持ってるって何か見慣れない景色で新鮮です❗
90cmおめでとうございます
メダイ狙いのウワサを聞きつけて電話してきた
たい焼き屋さん❗
こちらもタイショウウオ
92cmのナイスワン❗
揚げて来るの疲れました~
なんて良いながら続けてると。。。
またヒット❗
2匹目のファイトはウダウダでしたが。。。
サイズアップの94cm えぇ魚ですね
鬼カサゴの40アップも混じりました
メダイ釣りが好きな
シー○ホーク○ 古○川船長も遊びに来てくれてましたが。。。
3発ヒットして3発ラインブレイク
なんて事があったとか無かったとか。。。
良型沖メバルは20数匹居てました❗
釣りの後は勿論こうちゃんで宴会❗
メダイと沖メバルの刺身❗
メダイの身は脂ノリノリで絶品でした
普段それほど沢山は刺身食べないんですが。。。
このお皿殆んど二人で完食してしまう程でした
カマの塩焼きもコレまた絶品❗
大きな白子が入っていたので白子の焼きを塩とスダチで戴きましたが。。。
魚の白子でNO.2の美味しさでした❗
ちなみにNo.1はトラフグの白子です❗
後日、味噌漬けと醤油漬けにしたメダイを焼きで戴きましたが。。。
ご飯大盛り2杯が直ぐなくなりました。。。
メダイの味噌漬け、メニューには載って無いと思いますが。。。
大将にこっそり頼んだら、
大将の機嫌が良かったら。。。
出してくれるかも知れません。。。
冬型の気圧配置の日が多くなってきて中々出れない日本海ですが、機会が在ればまた狙いに行きたいサイズと旨さです❗






































