磯部釣船 直栄丸
爆風!片名前の掛かり釣り
親戚のおじさん 高浪さんらの釣行です。
雨は上がりましたが、定説どおりの北西風 しかも爆風が吹き荒れ、片名前での釣りとなりました。
潮時が今日は満ち潮メインと言う事で、終始船首の方向へ流れる潮。
釣り辛い条件が揃ってしまい苦戦の釣行となってしまいました。
今回のメンバーさんの中に「富士山」ナンバーの車で遠くから来て下さった方や直栄丸初乗船の方も見えました。
ウタセエビの釣りは初挑戦どころか伊勢湾の釣りが初挑戦!
全力でサポートさせて頂きました。
結果、全員ボウズ無し! と言うか、そのぐらい活性が下がっていました。
全体釣果
アズキマス 43センチ、 セイゴ、マタカ 53センチまで 9匹、 マダイ 34センチまで 6匹、 マゴチ、クロダイ、カサゴ 6匹 でした。
厳しい条件の中、頑張って釣って下さいました。
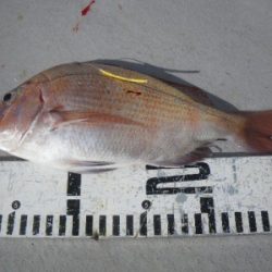
そして、魚を絞めている時に気づいたのですがタグ付きのマダイが1匹混じってました。
「お客さんが自分が釣った目印に付けた?」と思いきや、タグには電話番号まで書いてありました。
放流の魚でしょうけれど、最初が03って東京の局番ですよね。
月曜日になったら組合か水産試験場へ持って行って調べてみます!
また、結果報告致しますね。
お疲れ様でした。
ありがとうございました。


















