フルコンタクト
2017.11.06 ( 06.Nov.17 )
シーバス ( Sea Bass )
本日のお客さま 坂井様 & 林様
差し入れありがとうございます。ナイトシーバスで出港です !
ウェザー ( Weather )
海上は、風速 4m 〜 5m ルアーが流れる程度の風でした。
服装は、 防寒着 でした。
シーバス ( Sea Bass )
“ ミノー ing でランカーハンティング “
ナイトシーバスの釣果です!
海上は、そこそこ風がありました。
キャストしたルアーが流れるぐらいの風でした。
深夜出港なのに先行者があり、打たれてるところは打たれてる感じです。
今夜はショートバイトが多く、よくはずれる日でした。
何ではずれるのかわかりません。
釣果は、シーバス 8 セイゴ 2 バラシ 7 でした。
( フルコンバラシ認定 : 完全なフッキング後のフックアウト )
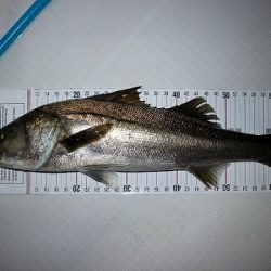
林さん シーバス 58cm キャッチ! おめでとうございます。
ロッド:スミス KOZ.EX-S70L/2 Porter
リール : シマノ ヴァンキッシュ C3000M
ルアー : スミス ハルカ 125S
スナップ : デコイ Wスナップ #3
フック : デコイ トレブル Y-S81 #4
坂井さん シーバス 51cm キャッチ!
ロッド:スミス KOZ.EX-S70L/2 Porter
リール : シマノ ヴァンキッシュ C2500HGS
ルアー : スミス ハルカ 125S
スナップ : デコイ Wスナップ #3
フック : デコイ トレブル Y-S81 #4
坂井さん シーバス 59cm キャッチ!
ロッド:スミス KOZ.EX-S70L/2 Porter
リール : シマノ ヴァンキッシュ C2500HGS
ルアー : スミス ハルカ 125S
スナップ : デコイ Wスナップ #3
フック : デコイ トレブル Y-S81 #4
坂井さん シーバス 58cm キャッチ!
ロッド:スミス KOZ.EX-S70L/2 Porter
リール : シマノ ヴァンキッシュ C2500HGS
ルアー : スミス ハルカ 125S #KOZ オリジナルカラー
スナップ : デコイ Wスナップ #3
フック : デコイ トレブル Y-S81 #4
打たれてないポイントは、1投目でガッツン。
打たれたポイントは、おさわりのみ。
タチウオに占領されてたりで、まあまあ厳しい夜でした。
濁りがあったのが救いでした。
デコイから最強スプリットリングでました !
フック交換の際、スプリットリングの交換もしてみてください。
この部分は、ランディングネットで巻き込んだり、
ストラクチャーなどで、いつの間にか弱ってしまっていて、
フックごと無くなってしまうトラブルがあります。
リングもフックも最強にして、ランカーハンティングに挑みましょう !
DECOY SPLIT RING EX ご購入よろしくお願いします。
ボートシーバス最強ルアー!
スミス ハルカ125S #KOZオリジナルカラーは、
KOZ`S Choice ← こちらから購入できます。
※ フックの交換もお忘れなく ( デコイ トレブル Y-S81 )
このルアーは、大久保幸三プロの通信販売とフルコンでしか購入できません。
※ フルコンは船上価格で販売しています。
坂井さん ロクマル × 2 おめでとうございます。
坂井さん シーバス 64cm キャッチ!
ロッド:スミス KOZ.EX-S70L/2 Porter
リール : シマノ ヴァンキッシュ C2500HGS
ルアー : スミス ハルカ 125S #KOZ オリジナルカラー
スナップ : デコイ Wスナップ #3
フック : デコイ トレブル Y-S81 #4
坂井さん シーバス 62cm キャッチ!
ロッド:スミス KOZ.EX-S70L/2 Porter
リール : シマノ ヴァンキッシュ C2500HGS
ルアー : スミス ハルカ 125S #KOZ オリジナルカラー
スナップ : デコイ Wスナップ #3
フック : デコイ トレブル Y-S81 #4
MEMORIAL FISH
ランカーハンティング成功!
坂井さん ランカーダブルキャッチ! おめでとうございます。
坂井さん ランカーシーバス 70cm キャッチ!
ロッド:スミス KOZ.EX-S70L/2 Porter
リール : シマノ ヴァンキッシュ C2500HGS
ルアー : スミス ハルカ 125S
スナップ : デコイ Wスナップ #3
フック : デコイ トレブル Y-S81 #4
坂井さん ランカーシーバス 70cm キャッチ! 超極太
ロッド:スミス KOZ.EX-S70L/2 Porter
リール : シマノ ヴァンキッシュ C2500HGS
ルアー : スミス ハルカ 125S #KOZ オリジナルカラー
スナップ : デコイ Wスナップ #3
フック : デコイ トレブル Y-S81 #4
【 参考タックル 】
■スピニングタックル
ロッド:スミス KOZ.EX-S70L/2 Porter
リール:シマノ ステラ C3000XG
ライン:バリバス アバニ シーバス PE マックスパワー1号
リーダー:バリバス ショックリーダー 【フロロカーボン】20lb
スナップ:デコイ Wスナップ #3
ルアー : スミス ハルカ125S #KOZオリジナルカラー
フック : デコイ トレブル Y-S81 #4 #6(R)
「 釣らなきゃもらえない 」ドS Tシャツ !
坂井様、 フルコン 7周年記念 Tシャツ ゲット ! おめでとうございます。
【 本日の釣果 】
シーバス 8 キャッチ
セイゴ 2 キャッチ ( 50cm 以下 )
ご乗船ありがとうございました。
キャプテン師範代 日常のつぶやき
フルコンタクト 最新釣果情報









































