第一進丸
11/06 釣果
本日もヒラメに出船。
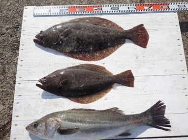
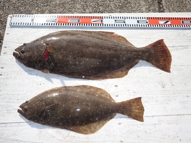
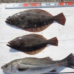
大板、大板絡みで2枚上がる。64cm、4.2kg、次64cm
肩肉の盛り上がった幅広の特肉厚東京ドーム型
3kg以上が3枚
0.5~4.2kg。1~4枚。オデコ無し、1枚はお1人
他65ccm、スズキも上がり、イナダ多数でお土産も十分
ニコニコ笑顔でお帰り頂けました。
明日もヒラメに出船
天気も良く、釣り日和です。
空きがたくさんありますので、
ご予約をお待ち申し上げております。
近々の大板の写真をHPのトップページ に掲示中、ぜひご覧ください
<進丸ニュース>
・ヒラメダービー参加方法をバージョンアップ!! new
・第二回旭市飯岡港初夏のヒラメ釣り大会優勝!! new
・2017年シーズンダービー1位賞品を『選べて』、さらに『パワーアップ』 !!new
・『席取順番札 』を設置いたしました。(夜間、席取りの安全確保のため)
・探していますⅡ!両軸リール・中通し竿・竿掛け!
・お誕生日割引きが更にお得に!!
・クーラーは30 ℓ を中心に35 ℓ まで
・安全、快適に、ミヨシに肘掛け付椅子を設置
・ルアーファンのお客様へ朗報!
・・・ 詳しくはこちらへ
*ライフジャケット乗船時、完全義務化 (2018年2月より)
ライフジャケットを購入して、ご自身の安全の為に、
乗船時には、命を守るアイテムを必ず着用しましょう






















