フルコンタクト
2017.11.02 ( 02.Nov.17 )
シーバス ( Sea Bass )
本日のお客さま 玉川様
お土産・差し入れありがとうございます。ナイトシーバスで出港です !
ウェザー ( Weather )
海上は、ベタ凪で穏やかでした。
服装は、 レインウェア でした。
シーバス ( Sea Bass )
“ ミノー ing でランカーハンティング “
ナイトシーバスの釣果です!
海上は、ベタ凪で穏やかでした。
潮の流れが無く、ところどころで水が悪く、ヤバそうな感じでした。
ハイシーズンってことで、魚を探すしかない状況でした。
釣果は、シーバス 16 セイゴ 7 バラシ 6 でした。
( フルコンバラシ認定 : 完全なフッキング後のフックアウト )
玉川さん ロクマル × 10 キャッチ! おめでとうございます。
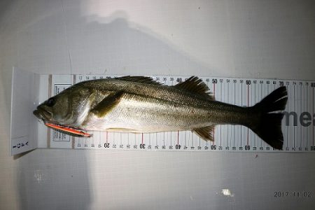
玉川さん シーバス 68cm キャッチ!
ロッド:スミス KOZ.EX-S70L/2 Porter
リール:シマノ ステラ C3000XG
ルアー : スミス ハルカ 125S #KOZ オリジナルカラー
スナップ : デコイ Vスナップ #3
フック : デコイ トレブル Y-S81 #4
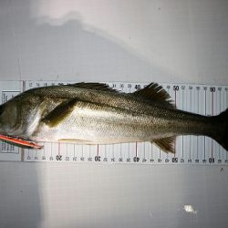
玉川さん シーバス 60cm キャッチ!
ロッド:スミス KOZ.EX-S70L/2 Porter
リール:シマノ ステラ C3000XG
ルアー : スミス ハルカ 125S #KOZ オリジナルカラー
スナップ : デコイ Vスナップ #3
フック : デコイ トレブル Y-S81 #4
玉川さん シーバス 65cm キャッチ!
ロッド:スミス KOZ.EX-S70L/2 Porter
リール:シマノ ステラ C3000XG
ルアー : スミス ハルカ 125S #KOZ オリジナルカラー
スナップ : デコイ Vスナップ #3
フック : デコイ トレブル Y-S81 #4
玉川さん シーバス 69cm キャッチ! オシイ〜
ロッド:スミス KOZ.EX-S70L/2 Porter
リール:シマノ ステラ C3000XG
ルアー : スミス ハルカ 125S #KOZ オリジナルカラー
スナップ : デコイ Vスナップ #3
フック : デコイ トレブル Y-S81 #4
玉川さん シーバス 68cm キャッチ!
ロッド:スミス KOZ.EX-S70L/2 Porter
リール:シマノ ステラ C3000XG
ルアー : スミス ハルカ 125S #KOZ オリジナルカラー
スナップ : デコイ Vスナップ #3
フック : デコイ トレブル Y-S81 #4
居るところには居る。
お客様のキャストとポイント攻略。
僕のひらめきと感が大当たりしました。
回遊の極太シーバスがめっちゃ釣れました。
ベテランは1匹混じっただけでした。
たくさん釣れたので、写真はロクマルとナナマルです。
( 写真を整理してたらロクマル写真1匹足りなくなってました。
玉川様、申し訳ございません。)
マジすっか!?
満を期して ハルカ 145F 投入したらガッツリ
玉川さん シーバス 69cm キャッチ! オシイ〜
ロッド:スミス KOZ.EX-S70L/2 Porter
リール:シマノ ステラ C3000XG
ルアー : スミス ハルカ 125S #KOZ オリジナルカラー
スナップ : デコイ Vスナップ #3
フック : デコイ トレブル Y-S81 #4
玉川さん シーバス 64cm キャッチ!
ロッド:スミス KOZ.EX-S70L/2 Porter
リール:シマノ ステラ C3000XG
ルアー : スミス ハルカ 125S #KOZ オリジナルカラー
スナップ : デコイ Vスナップ #3
フック : デコイ トレブル Y-S81 #4
玉川さん シーバス 61cm キャッチ!
ロッド:スミス KOZ.EX-S70L/2 Porter
リール:シマノ ステラ C3000XG
ルアー : スミス ハルカ 125S #KOZ オリジナルカラー
スナップ : デコイ Vスナップ #3
フック : デコイ トレブル Y-S81 #4
玉川さん シーバス 67cm キャッチ! 他に 60cm ×1
ロッド:スミス KOZ.EX-S70L/2 Porter
リール:シマノ ステラ C3000XG
ルアー : スミス ハルカ 125S #KOZ オリジナルカラー
スナップ : デコイ Vスナップ #3
フック : デコイ トレブル Y-S81 #4
デコイから最強スプリットリングでました !
フック交換の際、スプリットリングの交換もしてみてください。
この部分は、ランディングネットで巻き込んだり、
ストラクチャーなどで、いつの間にか弱ってしまっていて、
フックごと無くなってしまうトラブルがあります。
リングもフックも最強にして、ランカーハンティングに挑みましょう !
DECOY SPLIT RING EX ご購入よろしくお願いします。
ボートシーバス最強ルアー!
スミス ハルカ125S #KOZオリジナルカラーは、
KOZ`S Choice ← こちらから購入できます。
※ フックの交換もお忘れなく ( デコイ トレブル Y-S81 )
このルアーは、大久保幸三プロの通信販売とフルコンでしか購入できません。
※ フルコンは船上価格で販売しています。
MEMORIAL FISH
ランカーハンティング成功!
玉川さん ランカートリプルキャッチ! おめでとうございます。
玉川さん ランカーシーバス 72cm キャッチ!
ロッド:スミス KOZ.EX-S70L/2 Porter
リール:シマノ ステラ C3000XG
ルアー : スミス ハルカ 125S #KOZ オリジナルカラー
スナップ : デコイ Vスナップ #3
フック : デコイ トレブル Y-S81 #4
玉川さん ランカーシーバス 74cm キャッチ!
ロッド:スミス KOZ.EX-S70L/2 Porter
リール:シマノ ステラ C3000XG
ルアー : スミス ハルカ 125S #KOZ オリジナルカラー
スナップ : デコイ Vスナップ #3
フック : デコイ トレブル Y-S81 #4
玉川さん ランカーシーバス 72cm キャッチ!
ロッド:スミス KOZ.EX-S70L/2 Porter
リール:シマノ ステラ C3000XG
ルアー : スミス ハルカ 125S #KOZ オリジナルカラー
スナップ : デコイ Vスナップ #3
フック : デコイ トレブル Y-S81 #4
【 参考タックル 】
■スピニングタックル
ロッド:スミス KOZ.EX-S70L/2 Porter
リール:シマノ ステラ C3000XG
ライン:バリバス アバニ シーバス PE マックスパワー1号
リーダー:バリバス ショックリーダー 【フロロカーボン】20lb
スナップ:デコイ Wスナップ #3
ルアー : スミス ハルカ125S #KOZオリジナルカラー
フック : デコイ トレブル Y-S81 #4 #6(R)
「 釣らなきゃもらえない 」ドS Tシャツ !
玉川様、 フルコン 7周年記念 Tシャツ ゲット ! おめでとうございます。
【 本日の釣果 】
シーバス 16 キャッチ
セイゴ 7 キャッチ ( 50cm 以下 )
ご乗船ありがとうございました。
キャプテン師範代 日常のつぶやき
フルコンタクト 最新釣果情報






















































