泰丸
3日午前便 松尾氏ら 半夜便ロング 磯部氏ら
今日は午前便~半夜便のダブルヘッダーで気合入れて出船しました( ̄▽ ̄)!!
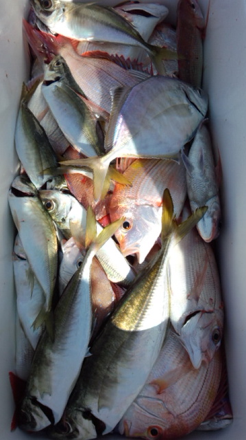
五目釣りではアジ、チダイ、レンコダイの食い気が良く安定のお土産キープでしたね(≧▽≦)!!
半夜便マイカは月が雲で隠れたおかげもあって、ポツリポツリと悪くない感じでしたョ(*‘∀‘)!!
竿頭の磯部氏は最近の釣果の厳しさを納得し目標の10はいから25はいの釣果にステップUPすることが出来ました(^◇^)!!
先日までガンガンお月様に悩まされていましたが、これから月が小さくになっていけばポツポツ当たりがでてくると思いますョ(゚∀゚)!!
また今後の釣れ方に期待して下さいね~(≧▽≦)!!
午前便
アジ27〜35センチ 6〜14匹 船中98匹
チダイ、レンコダイ26〜33センチ 4〜25匹 船中125匹
カイワリ26〜28センチ 0〜3匹 船中15匹
ハマチ、カワハギ、カサゴ、マハタ、本カワハギ少々
半夜便
マイカ22〜36センチ 5〜25はい 船中172はい






































































