第一進丸
10/27 釣果
本日もヒラメに出船。
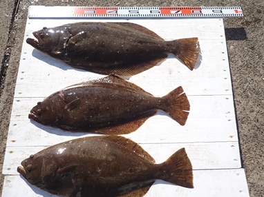
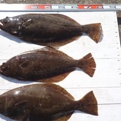
大板上がる、75cm、4.8kg 、
肩肉の盛り上がった幅広の特肉厚東京ドーム型。
トップ75cm、次61cm、60cm、60cm、58cm 、と
大型数揃って釣り上がる
0~3枚、0.8~4.8kg 、ソゲ0.8kgは1尾のみで、
他は1kg以上の良大型が釣り上がりました。
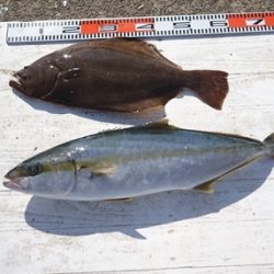
ルアーのお客様もヒラマサ80cmを頭に青物を釣り上げられ、
ヒラマサラ3kg以上が3本で、
他、イナダ、サンパク、ワラサ、カンパチ、ソイ、ハタ、と
多彩に数釣り上がりました。
台風通過後の底荒れ状態でしたが、
青物混じりで良大型が釣り上がりました。
明日もヒラメに出船。
台風は予報より遅れ気味で、
明日も午前中は雨も無く、ヒラメ釣りに問題は無く 、
空きがたくさんありますので、
ご都合のつくお客様は、是非お出かけください。
近々の大板の写真をHPのトップページ に掲示中、ぜひご覧ください
<進丸ニュース>
・ヒラメダービー参加方法をバージョンアップ!! new
・第二回旭市飯岡港初夏のヒラメ釣り大会優勝!! new
・2017年シーズンダービー1位賞品を『選べて』、さらに『パワーアップ』 !!new
・『席取順番札 』を設置いたしました。(夜間、席取りの安全確保のため)
・探していますⅡ!両軸リール・中通し竿・竿掛け!
・お誕生日割引きが更にお得に!!
・クーラーは30 ℓ を中心に35 ℓ まで
・安全、快適に、ミヨシに肘掛け付椅子を設置
・ルアーファンのお客様へ朗報!
・・・ 詳しくはこちらへ
*ライフジャケット乗船時、完全義務化 (2018年2月より)
ライフジャケットを購入して、ご自身の安全の為に、
乗船時には、命を守るアイテムを必ず着用しましょう
































