第一進丸
09/29 釣果
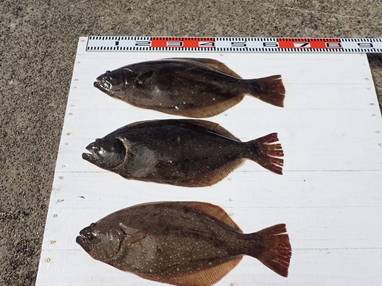
本日もヒラメに出船。
0.4~2.2kg。5~8枚。
お客様3人で、8枚、6枚、5枚
ソゲも肉厚で、皆さん1kg以上良い型を釣り上げられ
他、イナダ3~6尾
9:40 エサ切れ早上がり
アタリ、バラシ多数でシケ後心配でしたが、
順調に釣れ上がり、
潮色良く、、潮流れ良く、
皆さんニコニコ笑顔でお帰り頂けました。
明日もヒラメに出船
9:50現在、ご予約5名様です。 ご都合の付くお客様
ご予約お待ち申し上げております。
















